3578 204 STREET, Langley

2025-11-14
 

Quick Summary

Location
3578 204 STREET, Langley, British Columbia V3A4Y2
Price
$995,000 CAD
Status:
For Sale
Property Type:
Vacant Land

MLS®#R3067299

Property Description

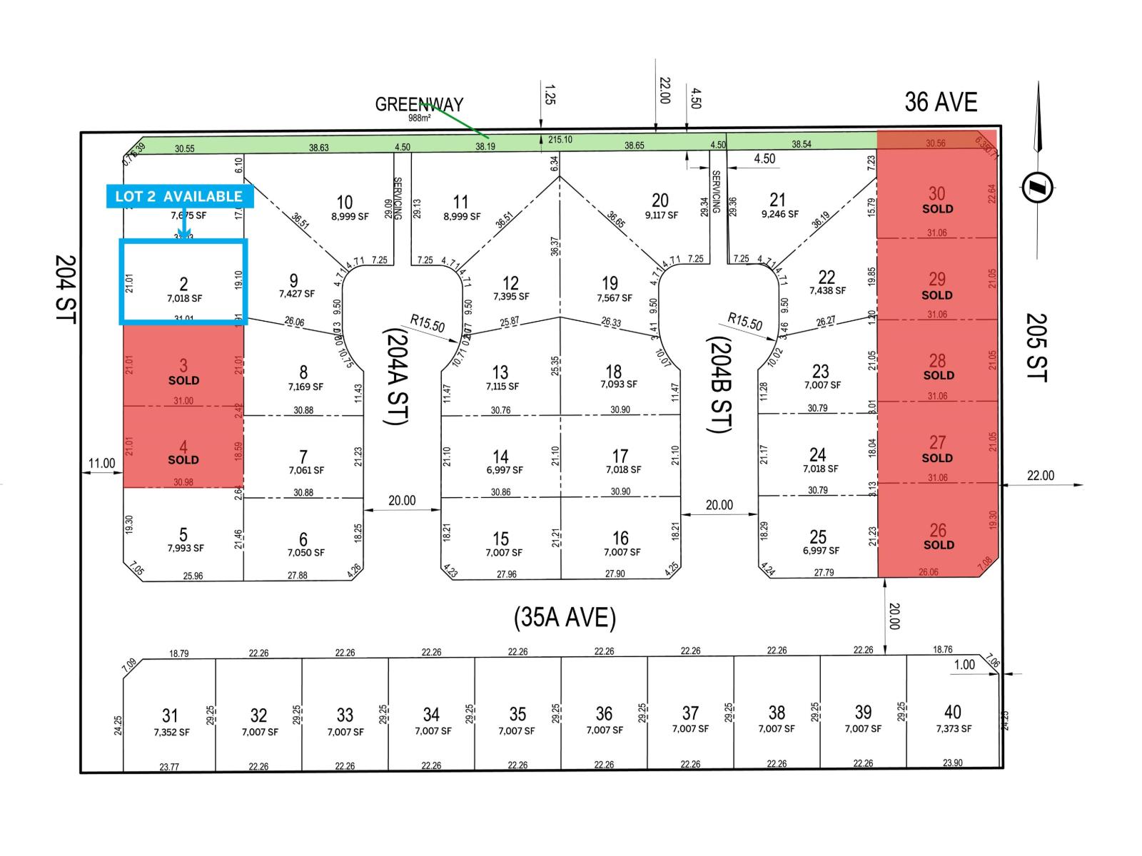
An exceptional opportunity to acquire fully serviced single-family lot in one of Langley's most sought-after neighborhoods-Brookswood-Fernridge. Lots 1, 2 & 5 are currently available for sale on MLS (listed separately). Inquire on other lots in the subdivision. The lot is ideal for a range of custom home designs - designated for 2-storey homes (no in-ground basements) and is anticipated to be construction-ready by February/March 2026. Buyers may apply for a Building Permit upon a firm offer. Feel free to drive by to get a feel of the location. (id:32467)

Property Features

Building

  • Fireplace: No

Land

  • Land Size: 7018 sqft

Ownership

  • Type: Freehold

Information entered by Homelife Advantage Realty Ltd.
Listing information last updated on: 2025-11-21 19:47:56


Book your free home evaluation with a 1% REALTOR® now!


How much could you save in commission selling with One Percent Realty?

Slide to select your home's price:

$500,000

Your One Percent Realty Commission savings

$500,000

Savings calculated using One Percent Realty's posted commission rates compared to another agent charging 7% on the first 100k & 2.5% on the balance + GST. Not all agents charge the same.

Send a Message


One Percent Realty's top FAQs

Q
What is the deal exactly, with One Percent?

We are a fully licensed real estate company that offers full service but at a discount commission. In terms of services and exposure, we are identical to whoever you would like to compare us with. We are on MLS®, all the top internet real estates sites, we place a sign on your property ( if it's allowed ), we show the property, hold open houses, advertise it, handle all the negotiations, plus the conveyancing. There is nothing that you are not getting, except for a high commission!

Q
What do you charge?

We charge a total of $9,950 for properties under $900,000. For properties over $900,000 we charge 1% of the sale price plus $950. Plus Applicable taxes, of course. It is as simple as that.

Q
Are your listings on MLS® and realtor.ca?

Yes, and yes.


Learn more about the One Percent Realty Deal

 

COLIN PALMER REALTOR®

Phone:
(604) 614-0665
Email:
colinpalmer@shaw.ca
Support Area:
ABBOTSFORD, East Abbotsford, West Abbotsford, Central Abbotsford, Promontory, Poplar, Aberdeen, MISSION, LANGLEY, ALDERGROVE, CHILLIWACK

Wow, now 48 years selling homes! you might already know me but if not, a little history about me bef ...

Full Profile

 

DAVID FERENCZ REALTOR®

Phone:
604-316-5601 TOLL FREE 1-888-787-6950
Mobile:
1 (888) 787-6950
Email:
ferencz@shaw.ca
Support Area:
ABBOTSFORD, CHILLIWACK, LANGLEY, MISSION, SURREY, Cultus Lake, Harrison Hot Springs, Hope, Sardis, Yarrow, Chilliwack Mountain, Fairfield, East Abbotsford, Central Abbotsford, West Abbotsford, Promontory, Poplar, Aberdeen, agassiz, Fraser Heights, Langley, Brookswood, Walnut G

          FRASER VALLEY SPECIALIST ABBOTSFORD, CHILLIWACK, MISSION, AG ...

Full Profile

 

David Maitre PREC*, Value-First Home Team

Phone:
(604) 340-9809
Email:
davidmaitre@shaw.ca
Support Area:
Maple Ridge, Pitt Meadows, Port Coquitlam, Coquitlam, Port Moody, Mission, Abbotsford, Langley, Tri-Cities

Over 1000 homes sold and more than 25 years experience combined.* Full service. Fair commissions. ...

Full Profile