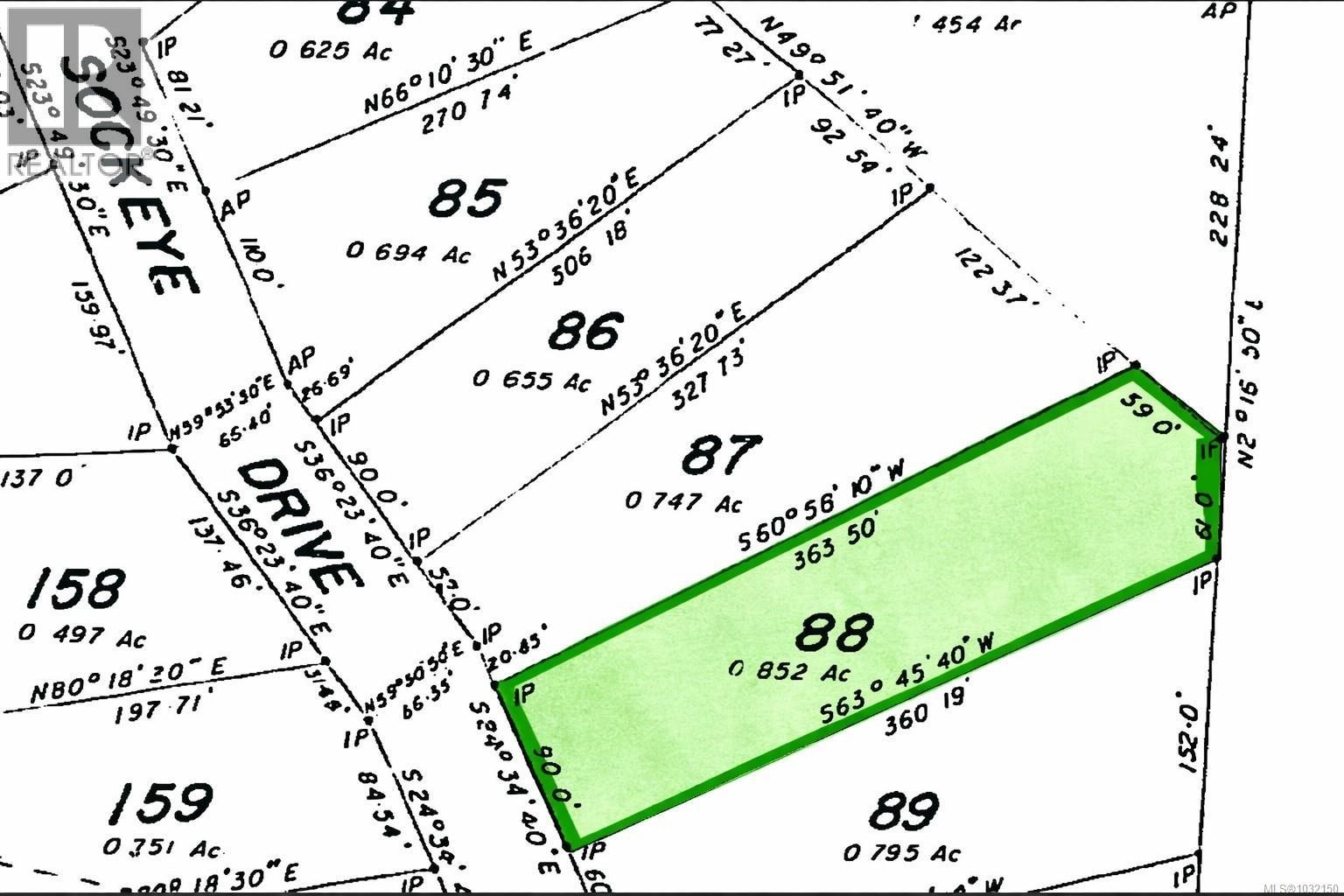
Lot 88 Sockeye Dr, MUDGE ISLAND

2026-04-15
 

Quick Summary

Location
Lot 88 Sockeye Dr, MUDGE ISLAND, British Columbia V0R1X6
Price
$180,000 CAD
Status:
For Sale
Property Type:
Vacant Land
Garages:
2

MLS®#1032150

Property Description

Discover the perfect blend of tranquility and natural beauty on this exceptional 0.85-acre building lot on Mudge Island. One of the most level lots available, this property offers an ideal canvas to bring your dream home or getaway retreat to life. Surrounded by the serene charm of the West Coast, this property delivers a peaceful, almost magical setting—perfect for those seeking privacy, nature, and a slower pace of life. BC Hydro and high-speed internet available at the lot line Easy building potential with minimal site preparation Accessible via boat or private water taxi from Nanaimo or ferry from Nanaimo to Gabriola Island, your journey home becomes part of the experience—every trip an adventure. Whether you're envisioning a vacation escape or a full-time coastal lifestyle, this is your opportunity to create something truly special on Mudge Island. Lot size from BC assessment (id:32467)

Property Features

Building

  • Fireplace: No

Features

  • Feature: Park setting, Irregular lot size, Marine Oriented

Land

  • Land Size: 0.85 ac

Ownership

  • Type: Freehold

Information entered by Royal LePage Nanaimo Realty (NanIsHwyN)
Listing information last updated on: 2026-04-15 15:42:28


Book your free home evaluation with a 1% REALTOR® now!


How much could you save in commission selling with One Percent Realty?

Slide to select your home's price:

$500,000

Your One Percent Realty Commission savings

$500,000

Savings calculated using One Percent Realty's posted commission rates compared to another agent charging 7% on the first 100k & 2.5% on the balance + GST. Not all agents charge the same. Savings shown are illustrative only. Actual commission costs depend on the commission structure negotiated with your agent.

One Percent Realty's top FAQs

Q
What is the deal exactly, with One Percent?

We are a fully licensed real estate company that offers full service but at a discount commission. In terms of services and exposure, we are identical to whoever you would like to compare us with. We are on MLS®, all the top internet real estates sites, we place a sign on your property ( if it's allowed ), we show the property, hold open houses, advertise it, handle all the negotiations, plus the conveyancing. There is nothing that you are not getting, except for a high commission!

Q
What do you charge?

Each agent sets their own commission structure, subject to a maximum of 1% for listing services and up to 1% payable to cooperating brokerages. Homes under $500,000 are subject to a minimum charge of $9,950

Q
Are your listings on MLS® and realtor.ca?

Yes, and yes.


Learn more about the One Percent Realty Deal