LOT 21 Oyster River Way, BLACK CREEK

2026-04-02
 

Quick Summary

Location
LOT 21 Oyster River Way, BLACK CREEK, British Columbia V9J1K3
Price
$2,000,000 CAD
Status:
For Sale
Property Type:
Vacant Land
Video Link:

MLS®#1030831

Property Description

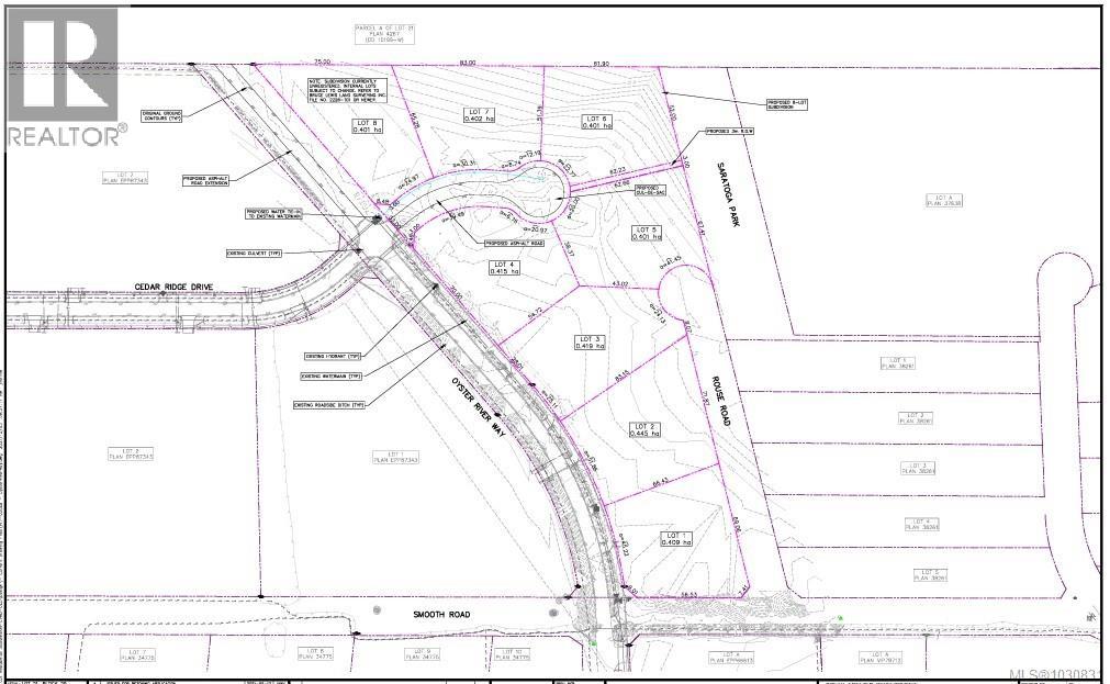
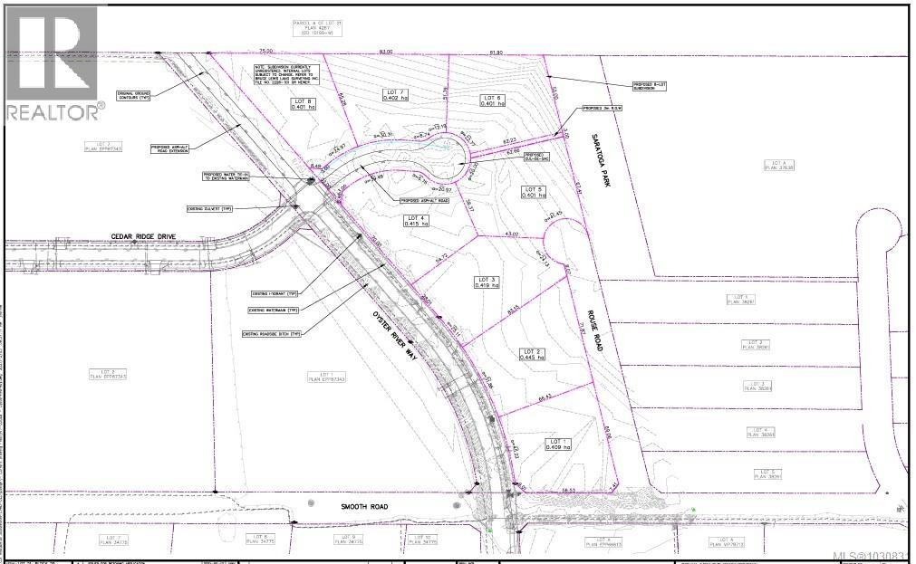
Rare development Opportunity: 8 Serviced lots near Miracle Beach. Secure a shovel ready project on Oyster River Way. This package includes 8 distinct lots ( just under 1 acre each ) perfectly positioned between Courtenay and Campbell River. With both Development and Construction permits already issued, the ground work is laid for immediate progress. Located just 5 minutes from Pacific Playgrounds and Salmon Point Marina's, these lots offer the ultimate Vancouver Island lifestyle. Appraisal sits around $3.6M upon completion with an estimated $1M in remaining costs. Contact Seller directly, phone # and email found in Licensee notes. (id:32467)

Property Features

Building

  • Fireplace: No

Land

  • Land Size: 13 ac

Ownership

  • Type: Freehold

Information entered by ComFree
Listing information last updated on: 2026-04-22 17:32:22


Book your free home evaluation with a 1% REALTOR® now!


How much could you save in commission selling with One Percent Realty?

Slide to select your home's price:

$500,000

Your One Percent Realty Commission savings

$500,000

Savings calculated using One Percent Realty's posted commission rates compared to another agent charging 7% on the first 100k & 2.5% on the balance + GST. Not all agents charge the same. Savings shown are illustrative only. Actual commission costs depend on the commission structure negotiated with your agent.

Send a Message


One Percent Realty's top FAQs

Q
What is the deal exactly, with One Percent?

We are a fully licensed real estate company that offers full service but at a discount commission. In terms of services and exposure, we are identical to whoever you would like to compare us with. We are on MLS®, all the top internet real estates sites, we place a sign on your property ( if it's allowed ), we show the property, hold open houses, advertise it, handle all the negotiations, plus the conveyancing. There is nothing that you are not getting, except for a high commission!

Q
What do you charge?

Each agent sets their own commission structure, subject to a maximum of 1% for listing services and up to 1% payable to cooperating brokerages. Homes under $500,000 are subject to a minimum charge of $9,950

Q
Are your listings on MLS® and realtor.ca?

Yes, and yes.


Learn more about the One Percent Realty Deal

 

Graham Batchelor Realtor ®

Phone:
2506509311
Email:
grahambatchelor@hotmail.com
Support Area:
Comox Valley, Courtenay, Comox, Campbell River, Cumberland, Royston, Union Bay, Black Creek, Merville, Oyster River

Professional Real Estate Sales & Marketing – Serving the Comox Valley, Campbell River, and Nor ...

Full Profile