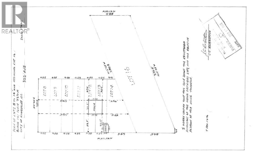
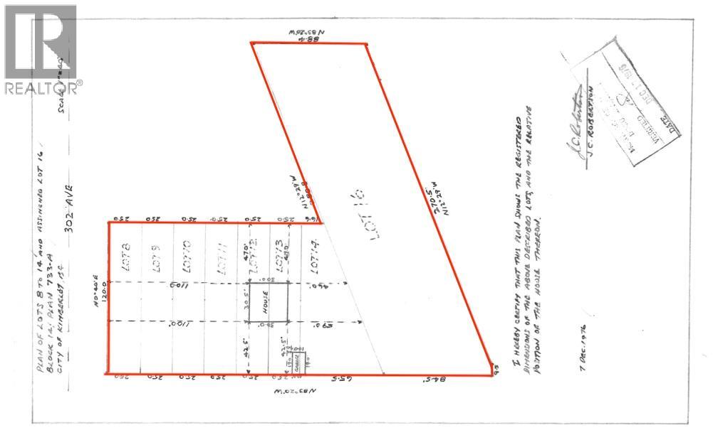
311 302nd Avenue, Kimberley

2026-03-17
 

Quick Summary

Location
311 302nd Avenue, Kimberley, British Columbia V1A3G5
Price
$750,000 CAD
Status:
For Sale
Property Type:
Single Family
Area:
1398 sqft
Bedrooms:
3
Bathrooms:
1
Garages:
2
Year of Construction:
1928
Brochure Link:
Video Link:

MLS®#10364344

Property Description

Discover the charm & character of this beautifully updated farm-style family home, ideally located just inside Marysville. Set on 8 separately titled lots (1+ acre), this unique property offers room to grow, play & envision future possibilities—whether you’re looking to expand, develop, or simply enjoy an abundance of outdoor space. Thoughtfully maintained over the years, the home features numerous upgrades including newer roof, siding, veranda, windows, & a spacious 25' x 25' double detached garage. Step inside & feel immediately at home in the inviting main floor, complete with large principal rooms, oversized windows that capture natural light & an atmosphere that blends warmth, character, and comfort. The upper level offers 3 generously sized bedrooms, providing plenty of space for family, guests, hobbies, or home office. On the main level, you’ll find a well-appointed 4pc bathroom, while the unfinished basement comes equipped with plumbing already in place—ideal for creating a 2nd bathroom or customizing the lower level to suit your needs. Outside, the property is bordered by a laneway on one side & a roadway on the other, giving it exceptional accessibility & privacy. The rear yard extends right up to the golf course, offering a rare combination of space, scenery, and recreational opportunity just steps from your back door. Whether you love its timeless character or envision modern enhancements, this is a home with endless potential—one you’ll enjoy for years to come. (id:32467)

Property Features

Building

  • Appliances: Range, Refrigerator, Washer & Dryer
  • Construction Style: Detached
  • Fireplace: No
  • Interior Size: 1398 sqft
  • Building Type: House
  • Stories: 1.5
  • Utility Water: Municipal water

Land

  • Land Size: under 1 acre
  • Sewer: Municipal sewage system

Ownership

  • Type: Freehold

Information entered by Royal LePage Rockies West
Listing information last updated on: 2026-04-10 15:03:11


Book your free home evaluation with a 1% REALTOR® now!


How much could you save in commission selling with One Percent Realty?

Slide to select your home's price:

$500,000

Your One Percent Realty Commission savings

$500,000

Savings calculated using One Percent Realty's posted commission rates compared to another agent charging 7% on the first 100k & 2.5% on the balance + GST. Not all agents charge the same. Savings shown are illustrative only. Actual commission costs depend on the commission structure negotiated with your agent.

One Percent Realty's top FAQs

Q
What is the deal exactly, with One Percent?

We are a fully licensed real estate company that offers full service but at a discount commission. In terms of services and exposure, we are identical to whoever you would like to compare us with. We are on MLS®, all the top internet real estates sites, we place a sign on your property ( if it's allowed ), we show the property, hold open houses, advertise it, handle all the negotiations, plus the conveyancing. There is nothing that you are not getting, except for a high commission!

Q
What do you charge?

Each agent sets their own commission structure, subject to a maximum of 1% for listing services and up to 1% payable to cooperating brokerages. Homes under $500,000 are subject to a minimum charge of $9,950

Q
Are your listings on MLS® and realtor.ca?

Yes, and yes.


Learn more about the One Percent Realty Deal