LOT A DOGWOOD STREET, Telkwa

2026-02-24
 

Quick Summary

Location
LOT A DOGWOOD STREET, Telkwa, British Columbia V0J2X0
Price
$120,000 CAD
Status:
For Sale
Property Type:
Vacant Land

MLS®#R3092985

Property Description

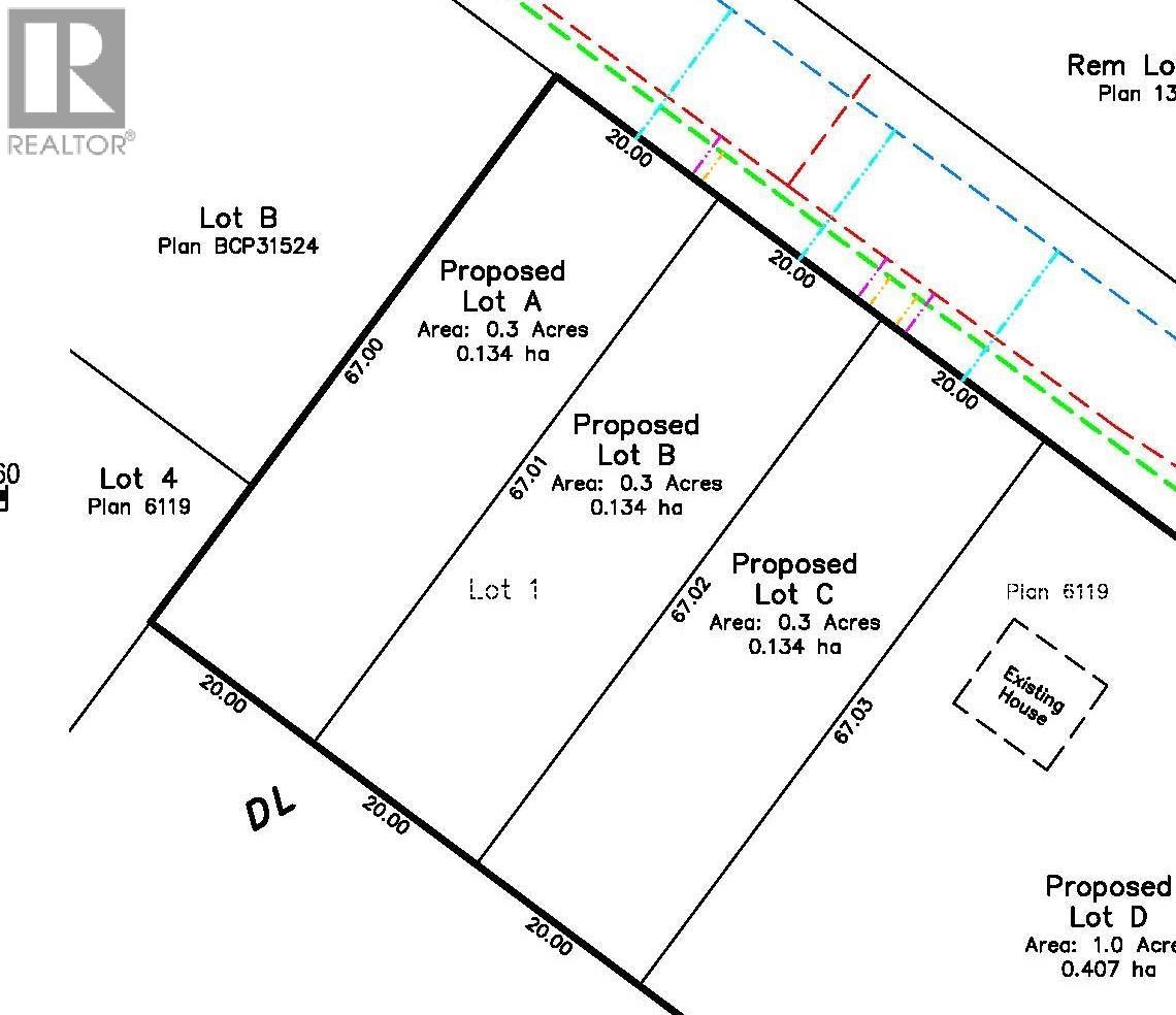
Great building lot located in the picturesque Village of Telkwa. This large 0.3 acre lot provides you with the freedom to design and construct your ideal living space while still having ample outdoor space for landscaping and yard. Located in an established neighbourhood. This lot is fully serviced, level and ready to be developed. Within walking distance to the Telkwa and Bulkley Rivers. (id:32467)

Property Features

Building

  • Construction Style: Unknown
  • Fireplace: No
  • Utility Water: Municipal water

Land

  • Land Size: 0.3 ac

Ownership

  • Type: Freehold

Information entered by RE/MAX Bulkley Valley
Listing information last updated on: 2026-05-13 14:14:52


Book your free home evaluation with a 1% REALTOR® now!


How much could you save in commission selling with One Percent Realty?

Slide to select your home's price:

$500,000

Your One Percent Realty Commission savings

$500,000

Savings calculated using One Percent Realty's posted commission rates compared to another agent charging 7% on the first 100k & 2.5% on the balance + GST. Not all agents charge the same. Savings shown are illustrative only. Actual commission costs depend on the commission structure negotiated with your agent.

One Percent Realty's top FAQs

Q
What is the deal exactly, with One Percent?

We are a fully licensed real estate company that offers full service but at a discount commission. In terms of services and exposure, we are identical to whoever you would like to compare us with. We are on MLS®, all the top internet real estates sites, we place a sign on your property ( if it's allowed ), we show the property, hold open houses, advertise it, handle all the negotiations, plus the conveyancing. There is nothing that you are not getting, except for a high commission!

Q
What do you charge?

Each agent sets their own commission structure, subject to a maximum of 1% for listing services and up to 1% payable to cooperating brokerages. Homes under $500,000 are subject to a minimum charge of $9,950

Q
Are your listings on MLS® and realtor.ca?

Yes, and yes.


Learn more about the One Percent Realty Deal