835 Chelwood Rd, GABRIOLA ISLAND

2026-01-15
 

Quick Summary

Location
835 Chelwood Rd, GABRIOLA ISLAND, British Columbia V0R1X1
Price
$1,025,000 CAD
Status:
For Sale
Property Type:
Single Family
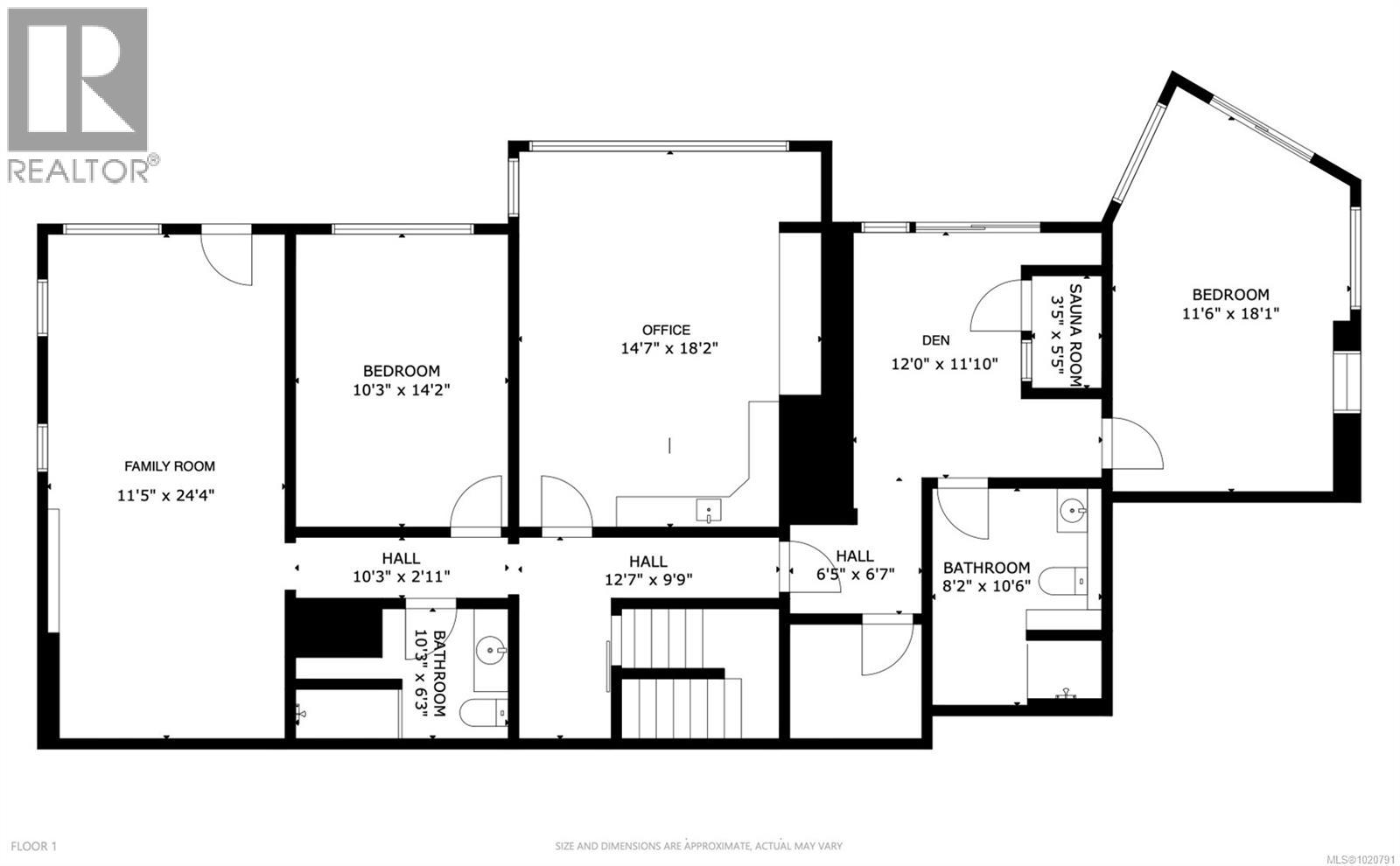
Area:
2887 sqft
Bedrooms:
4
Bathrooms:
5
Garages:
6
Year of Construction:
1981
Video Link:

MLS®#1020791

Property Description

A winding driveway welcomes you to this picturesque and private ocean- and mountain-view setting on 5-plus acres in the heart of Gabriola Island. This spacious wood-sided home offers 4 bedrooms and 5 bathrooms, with a flexible layout suited to a variety of lifestyles. The kitchen has been recently updated with new appliances, and the living room features vaulted ceilings with a woodstove insert, while the dining room includes its own fireplace. The main-level primary bedroom has a walk-in closet and a 4-piece ensuite. You’ll love the covered deck—an ideal place to enjoy your morning coffee while taking in the natural surroundings and watching the ferry pass by. Additional features include a metal roof, electric forced air heat pump, attached garage, and a lower level with its own exterior entrance, sauna, and hot tub area. Outside, the gently rolling property showcases beautiful rock walls, mature landscaping, and a detached studio perfect for an office or creative space. Water is supplied by a well and cistern with a treatment system in place. This property presents an excellent opportunity for those wishing to add their own updates and finishing touches while enjoying a serene, rural lifestyle in one of Gabriola’s most tranquil settings. All information to be verified if deemed important to a buyer. (id:32467)

Property Features

Building

  • Appliances: Dishwasher, Hot Tub, Range - Electric, Refrigerator
  • Architectural Style: Westcoast
  • Cooling Type: Air Conditioned
  • Fireplace: Yes
  • Interior Size: 2887 sqft
  • Building Type: House

Features

  • Feature: Acreage, Central location, Private setting, Other

Land

  • Land Size: 5.01 ac

Ownership

  • Type: Freehold

Zoning

  • Description: LRR

Information entered by Royal LePage Nanaimo Realty Gabriola
Listing information last updated on: 2026-03-18 12:39:55


Book your free home evaluation with a 1% REALTOR® now!


How much could you save in commission selling with One Percent Realty?

Slide to select your home's price:

$500,000

Your One Percent Realty Commission savings

$500,000

Savings calculated using One Percent Realty's posted commission rates compared to another agent charging 7% on the first 100k & 2.5% on the balance + GST. Not all agents charge the same. Savings shown are illustrative only. Actual commission costs depend on the commission structure negotiated with your agent.

One Percent Realty's top FAQs

Q
What is the deal exactly, with One Percent?

We are a fully licensed real estate company that offers full service but at a discount commission. In terms of services and exposure, we are identical to whoever you would like to compare us with. We are on MLS®, all the top internet real estates sites, we place a sign on your property ( if it's allowed ), we show the property, hold open houses, advertise it, handle all the negotiations, plus the conveyancing. There is nothing that you are not getting, except for a high commission!

Q
What do you charge?

Each agent sets their own commission structure, subject to a maximum of 1% for listing services and up to 1% payable to cooperating brokerages. Homes under $500,000 are subject to a minimum charge of $9,950

Q
Are your listings on MLS® and realtor.ca?

Yes, and yes.


Learn more about the One Percent Realty Deal