17266 PRESPATOU ROAD, Fort St. John

2025-08-01
 

Quick Summary

Location
17266 PRESPATOU ROAD, Fort St. John, British Columbia V0C1Y0
Price
$875,000 CAD
Status:
For Sale
Property Type:
Single Family
Area:
1935 sqft
Bedrooms:
4
Bathrooms:
2
Year of Construction:
9999

MLS®#R3032797

Property Description

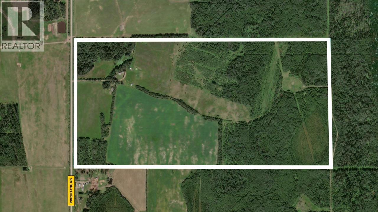
If you've been dreaming of wide-open spaces and a peaceful lifestyle this ½ section in Montney is the one! This property features a mix of open farmland used for hay and pasture, along with sections of merchantable timber, only 30 minutes from FSJ. You'll love the charming 4-bed, 2-bath rancher with basement, boasting a bright and open-concept interior. The highlight is the huge wraparound sundeck, where you can enjoy vast country views from every angle while relaxing. For the handymen, there's a 30'x40' insulated workshop with a 10' overhead door, and a dreamy greenhouse for those with a green thumb. Just minutes from Upper Pine School and located on the school bus route - 319 acres of paradise! (id:32467)

Property Features

Building

  • Appliances: Washer, Dryer, Refrigerator, Stove, Dishwasher
  • Basement Development: Finished
  • Basement Type: N/A (Finished)
  • Construction Style: Detached
  • Exterior Finish: Vinyl siding
  • Fireplace: Yes
  • Interior Size: 1935 sqft
  • Building Type: House
  • Stories: 2

Land

  • Land Size: 319 ac

Ownership

  • Type: Freehold

Information entered by Century 21 Energy Realty
Listing information last updated on: 2026-01-12 15:27:30


Book your free home evaluation with a 1% REALTOR® now!


How much could you save in commission selling with One Percent Realty?

Slide to select your home's price:

$500,000

Your One Percent Realty Commission savings

$500,000

Savings calculated using One Percent Realty's posted commission rates compared to another agent charging 7% on the first 100k & 2.5% on the balance + GST. Not all agents charge the same.

One Percent Realty's top FAQs

Q
What is the deal exactly, with One Percent?

We are a fully licensed real estate company that offers full service but at a discount commission. In terms of services and exposure, we are identical to whoever you would like to compare us with. We are on MLS®, all the top internet real estates sites, we place a sign on your property ( if it's allowed ), we show the property, hold open houses, advertise it, handle all the negotiations, plus the conveyancing. There is nothing that you are not getting, except for a high commission!

Q
What do you charge?

We charge a total of $9,950 for properties under $900,000. For properties over $900,000 we charge 1% of the sale price plus $950. Plus Applicable taxes, of course. It is as simple as that.

Q
Are your listings on MLS® and realtor.ca?

Yes, and yes.


Learn more about the One Percent Realty Deal